Heavy rain and strong winds, up to 280 km/h, are expected to hit , as the region is set to be “hit” by , the strongest on record in 2025. In fact, it is likely to be the strongest in the country’s history and has already claimed the lives of several people, likely to directly affect at least 1.5 million people, the Red warned today Cross.
“However, this figure is likely to be much lower than the reality, as the effects on the population will include problems in basic services, markets and of course road closures. Nesefor Mghedi, head of delegation to the International Federation of the Red Cross, said at a press conference.
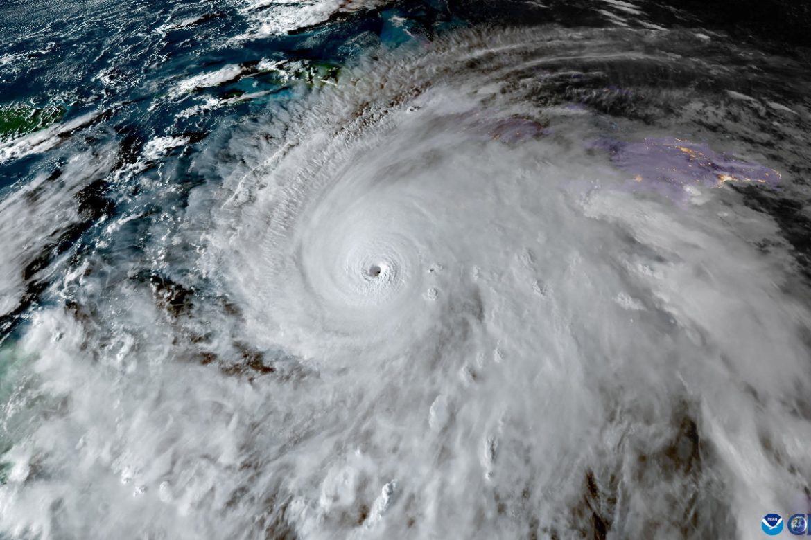
The World Meteorological Organization (WMO) said it expects a picture of disaster in Jamaica today as Melissa is expected to make landfall with winds of over 300 km/h, flooding and landslides. Melissa is the strongest cyclone to hit the island this century. “For Jamaica it will be the cyclone of the century, for sure,” commented WMO tropical cyclone specialist Anne-Claire Fontan at a press conference in Geneva.

People have already lost their lives trying to prepare for the typhoon’s arrival, with the authorities having proceeded with mass evacuations, opening more than 800 shelters across the country.
Experts estimate that Hurricane “Melissa” may be stronger than “Katrina” that hit Florida, USA 20 years ago, leaving behind huge destruction and more than 1,000 dead.
“No power in Jamaica and thousands in shelters”
In a briefing on Tuesday morning, Darryl Vaz, Jamaica’s minister of energy, telecommunications and transport, said the power grid would be affected but there was no plan to shut it down. About 240,000 Jamaica Public Service Company customers, or 35 percent of the total, are without power, it said.
Emergency flights may be able to depart the country as early as Thursday from Kingston Airport, he added. Jamaica’s Minister of Local Government, Desmond Mackenzie, said more than 800 shelters were open, with nearly 6,000 people sheltered.

“This is a terrible situation unfolding in slow motion”
Hurricane Melissa is a Category 5 storm, the strongest possible on the Saffir-Simpson scale. Last year’s devastating Hurricane Beryl was the first and fastest Atlantic hurricane on record and reached Category 5, but scientists warn that storms are getting stronger sooner as a result of climate change warming ocean waters.
“Slow-moving major hurricanes often go down in history as some of the deadliest and most destructive storms ever recorded,” said AccuWeather Chief Meteorologist Jonathan Porter. “This is a terrible situation unfolding in slow motion,” he added.
Residents torn between fear and resistance
Despite the appeals of the authorities, . “Even if it was a Category 6, I wouldn’t have left,” says Port Royal handyman Roy Brown.
Others, like fisherman Jennifer Ramdayal, say they prefer to stay, having had bad experiences with state-run reserves. The government is trying to strengthen security measures and ensure water and electricity supplies as the country plunges into a state of alert.

Comparisons with the devastating 1988 Hurricane Gilbert
The last cyclone of such intensity to hit Jamaica was Gilbert in 1988, with 40 deaths and massive damage. Since then, the country has been tested by several storms, most recently by Beryl in 2024. But Melissa surpasses all previous ones in strength, with the international media describing it as a “wind monster”.
Melissa’s wrath now threatens Cuba and the Bahamas
After Jamaica, Melissa’s track points to eastern Cuba, the Bahamas and possibly Bermuda. AccuWeather forecasters warn the storm will remain extremely dangerous, with up to 90cm of rain and wind gusts of over 220km/h. The coasts of southeastern Cuba are expected to be flooded, with waters that may reach three meters.

The unpaid “hurricane chasers” in the battle with nature
Indicative of the danger, US NOAA aircraft entering the storm’s core to measure its intensity have encountered extreme turbulence, while crews are working without pay due to the federal government shutdown. Meteorologist Andy Hazelton described Melissa as “a cyclone with terrifying energy and extremely violent pressure swings”.
As Melissa continues its devastating path, international organizations are warning that the Caribbean is entering a new humanitarian crisis. Jamaican authorities are calling for international help, while residents are preparing for the worst. The sky darkens over Kingston – and Jamaican history is being written again, this time to the deafening sound of the wind.
