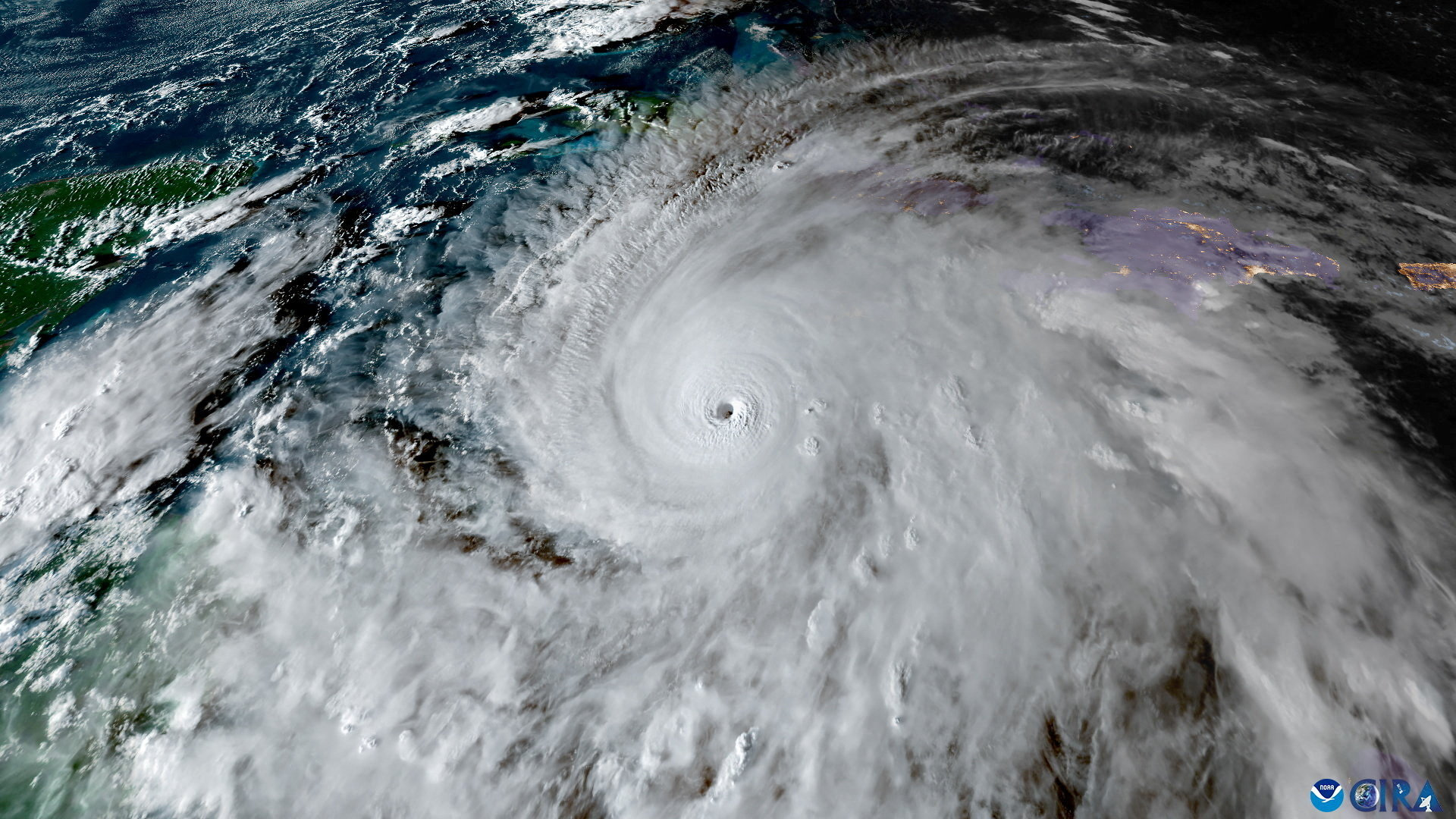
Hurricane Melissa hits the coast of Jamaica with winds of almost 300 km/h

Hurricane Melissa made landfall in Jamaica early this Tuesday afternoon (28) with an estimated maximum sustained wind speed of 295 km/h, according to the US National Hurricane Center (NHC). This means it is still a Category 5 hurricane.

According to the NHC, the storm is “extremely dangerous and life-threatening.” The center advises Jamaicans not to leave their shelters as the eye of the hurricane passes over the country because “winds will increase quickly and rapidly.”

In a statement, Minister Desmond McKenzie asked Jamaicans to follow the advice of the authorities: “This is not the time to be courageous (…) Don’t bet against Melissa — it’s a bet we can’t win.” A third of the island is facing power cuts, according to Energy Minister Daryl Vaz.

FREE LIST

10 small caps to invest in

The list of stocks from promising sectors on the Stock Exchange

(Article being updated)

Source link