Skip to content
access_time22.04.2026
Latest:
  • Ana Paula wins BBB 26: find out how much the champion won in total prizes
  • Lula intensifies counterpoint to Trump on trip to Europe – 04/21/2026 – Politics
  • Horoscope April 23, 2026. Which zodiac signs are blessed by Saint George 2026
  • Growing tomatoes I mix it with milk and water the tomato seedlings. This makes the roots thicker and the stems stronger. Strengthening fertilizer for tomato seedlings to be used before planting into the ground
  • Trump extends ceasefire with Iran
  • Donald Trump never ceases to surprise and reads the Bible in the middle of the war… after attacking the Pope: the turn that no one expected
  • Gotto’s daughter Charlotte under fire from critics: Czechs don’t like her change… Really?!
  • Trump says Iran does not want Strait of Hormuz closed
  • Gates Foundation says it has opened investigation into ties to Epstein
  • Dino’s proposal at the STF is complementary, entities evaluate – 04/21/2026 – Politics

News Room USA | LNG in Northern BC

Stay informed about the most important news and events in the region

home
  • Featured
  • Politics
  • Opinion
  • Business
  • Entertainment
  • Lifestyle
  • Sports
  • About Us
  • Contact
  • Featured
  • Politics
  • Opinion
  • Business
  • Entertainment
  • Lifestyle
  • Sports
  • About Us
  • Contact
Other news

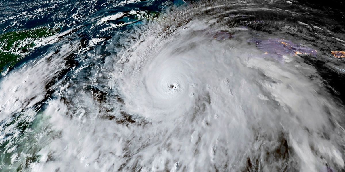
Google’s AI weather model shined in the current hurricane season

By AndreaPosted on06.11.2025
Time to Read:-words



Deepmind’s model performs better than classic forecasts. In addition, it can and is operated with significantly fewer resources



Source link

ShareTweetPin itShareShare

You may also like:

Ana Paula wins BBB 26: find out how much the champion won in total prizes

Trump extends ceasefire with Iran

Gates Foundation says it has opened investigation into ties to Epstein

Five luxurious brunch locations in Vienna

Post navigation

Previous
Previous post: Powdered milk roll melts in your mouth and is ready quickly
Next
Next post: EDP ​​ordered to pay taxes for selling dams – but frees itself from suspicions of tax fraud

  • Ana Paula wins BBB 26: find out how much the champion won in total prizes
  • Lula intensifies counterpoint to Trump on trip to Europe – 04/21/2026 – Politics
  • Horoscope April 23, 2026. Which zodiac signs are blessed by Saint George 2026
    Horoscope April 23, 2026. Which zodiac signs are blessed by Saint George 2026
  • At the turn of March and April, I water the tomato cuttings. The stems bend from juicy tomatoes. How to fertilize tomatoes?
    Growing tomatoes I mix it with milk and water the tomato seedlings. This makes the roots thicker and the stems stronger. Strengthening fertilizer for tomato seedlings to be used before planting into the ground
  • Trump extends ceasefire with Iran
© 2026 News Room USA | LNG in Northern BC Privacy Policy