2025 leaves a destructive trail of heat waves, extreme rains and fires fueled by climate change | Climate and Environment

2025, which is about to end, will close as . According to the latest data from , the European planet monitoring system, it is emerging as the second hottest on Earth after 2024 and tied with 2023. And higher average temperatures trigger the risk that extreme events will be more intense and sometimes also more frequent. That is precisely what has happened in 2025, as explained by Theodore Keeping, a researcher at Imperial College London. “This global warming has made widespread heat waves hotter and longer, worsened drought conditions and increased the likelihood of extreme fires,” Keeping says. The same has happened with some episodes of extreme rain and flooding.

This researcher is part of the World Weather Attribution (WWA), a group of scientists that carries out rapid studies on extreme phenomena with high impacts on the population to determine what role climate change has played in these episodes. This 2025 they have investigated 22 of these events in Africa, America, Asia, Europe and Oceania. In 17 cases they have determined that they were “more serious or more likely due to climate change.” In the remaining five, WWA explains in its summary of the year, the results were inconclusive mainly due to the lack of meteorological data and limitations in the climate models. Among the events they analyzed and those they did locate are in the northwest of the Iberian Peninsula, which coincided with a .

This heat increases the conditions conducive to devastating fires breaking out, such as those experienced a year ago in the Los Angeles metropolitan area. But, beyond global warming, the dimension of these catastrophes is also determined in many cases by other human factors, such as lack of preparation and urban planning. For this reason, WWA researchers insist on the need to “invest in adaptation measures.” “Many deaths and other impacts could be avoided with timely action,” they explain.

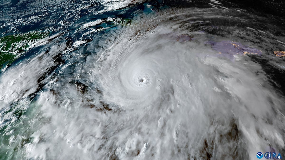
But, as Keeping also argues, “preparation and adaptation have limits.” An example is the destructive one, which five days before arriving in Jamaica in October had this entire Caribbean island on alert. “When such an intense storm hits a small island nation, like Jamaica or other Caribbean islands, not even high levels of preparedness can prevent extreme loss and damage,” adds this researcher. Therefore, adaptation is not enough on its own: “rapid emissions reductions remain essential to avoid the worst impacts of climate change.” “We urgently need to move away from fossil fuels,” warns Keeping.

Misinformation kills

“This year’s findings have been devastating, but also unsurprising,” explains Friederike Otto, professor of Climate Sciences also at Imperial College London and co-founder of WWA. And with each passing year the evidence increases, in addition to the impacts of warming that continues to increase due to the burning of fossil fuels. Otto also highlights in 2025 the historic pronouncement of the United Nations International Court of Justice (ICJ), which in July established that countries are obliged to take measures to limit global warming.

But this 2025 is also the year of confirmation of the rise of ultra-conservative and populist movements, which have put the fight against climate change and the defense of the environment in general in the spotlight. “We have seen how climate change has become a cultural war,” says Otto. “But whatever your political opinion, climate change is harming you, your life, your livelihood opportunities and economic prosperity.”

It plays a crucial role in the rise of these denialist movements. “People believe this misinformation, and that not only has detrimental effects on our global climate action, but also on the lives of these people,” warns Otto, giving as an example some disasters recorded this year in the United States. “Part of the population did not believe in climate change and, therefore, did not really take seriously that the evacuation requests that came from the early warning systems were real,” recalls this researcher. “In some cases, they paid with their lives for believing misinformation.”

heat waves

Of all extreme weather events, WWA explains that heat waves were the deadliest in 2025. They recall that, although the majority of heat-related deaths are still not well reflected in official statistics, a study estimated that this year 24,400 people died from a single summer heat wave in Europe. Among the episodes investigated by WWA this year are heat waves in South Sudan, Burkina Faso, Norway, Sweden, Mexico, Argentina and England, which were intensified by human-caused climate change.

“Tropical cyclones and storms were also among the deadliest events of the year. One of the worst examples occurred recently, when several simultaneous storms hit Asia and Southeast Asia, killing more than 1,700 people,” the authors explain.

Beyond the climate change that fuels all these events, researchers focus on the capabilities of each region to face these disasters. Keeping recalls that this year it has once again become clear how these impacts fall “unfairly” on the “poorest and most vulnerable in the world”, who are the ones who have the least responsibility for this crisis. Often, women and children bear the brunt. “Women bear an unequal burden, for example, due to their underrepresentation in leadership and unpaid care responsibilities, which often increases their exposure to dangerously high temperatures,” the report gives as an example. And it is added: “extreme heat further disrupts education, causing the closure of schools that reinforce gender inequalities.”

In this distribution of consequences, the Global South also bears the worst. Not only because of the direct impacts when these catastrophes arrive, but also when preparing scientific analyses. “Many of our studies in 2025 focused on heavy rainfall events in the Global South, and time and time again we found that we were prevented from drawing confident conclusions by gaps in observational data and reliance on climate models developed primarily for the Global North,” the authors explain. Having solid knowledge is also key to being able to face this crisis and be prepared. “This uneven foundation in climate science reflects the broader injustices of the climate crisis,” the experts conclude in their report.

source